Details
DATE: Friday, August 26, 2022 at 12:00pm
ADDRESS OF AUCTION: Moose Lodge Family Center: 934 Waterlick Rd. Lynchburg, VA 24501
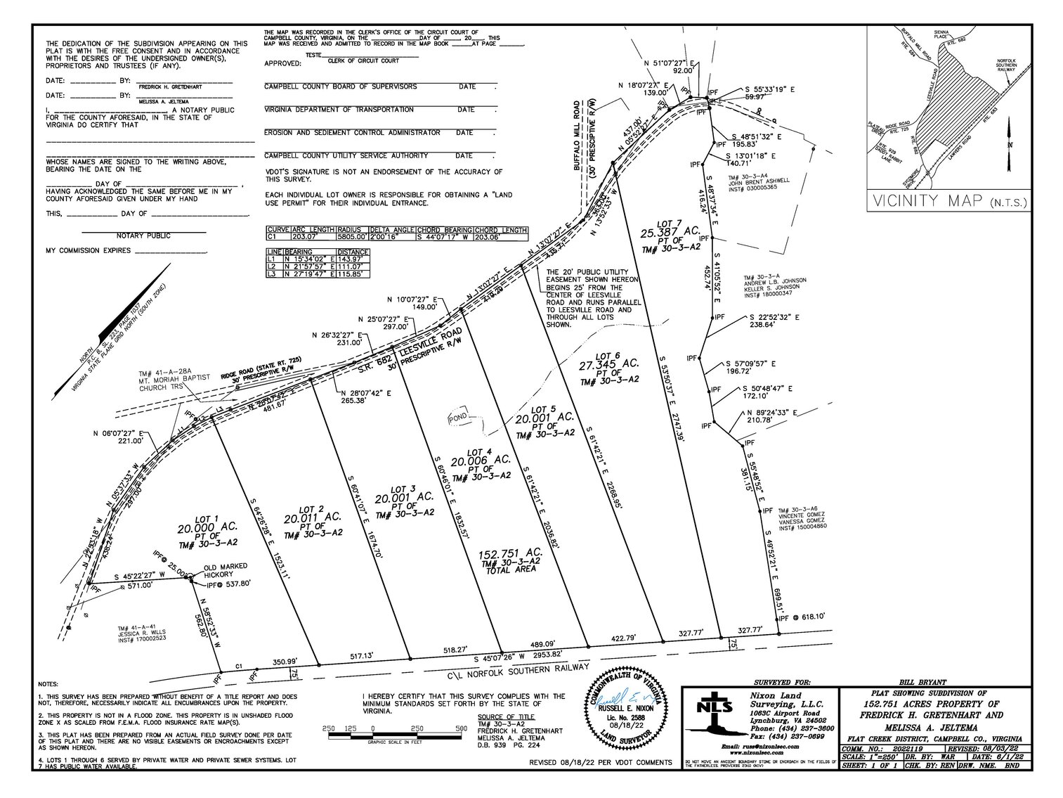
ADDRESS OF THE PROPERTY: The property is located just 5 miles south of the intersection of US RT 460 and Leesville Road and just 1 mile north of the intersection of Lawyers road and Leesville road. Look for the signs.
PREVIEW DATES: Friday August 5th from 12 – 1 & Friday August 12th from 12 – 1
We will be at the entrance to lot 4 The property has limited access and 4-wheel drive is needed
SALES MANAGER: George McDaniel: 434-546-9235 Pete Ramsey: 434-258-6611
PROPERTY INFORMATION: 152+/- Acres just off Leesville Rd
Divided and offered in 7 lots
Lots range from 20 to 27 acres
4,700 feet of road frontage on Leesville Rd
Zoned Agricultural
County water – across the road from lot 7
The land consists of woods and open land.
Schools
Elementary: Leesville Rd
Middle & High Schools: Brookville
DIRECTIONS: The property is located just 5 miles south of the intersection of US RT 460 and Leesville Road and just 1 mile north of the intersection of Lawyers road and Leesville road. Look for the signs.
Terms and Conditions
Real Estate: 10% Buyers Premium added to the high bid to determine the final sales price. 10% deposit due on the day of sale. Sold as is. Closing in 30 days.

